Instructions pour l'utilisation du médicament du doryphore de la pomme de terre Regent
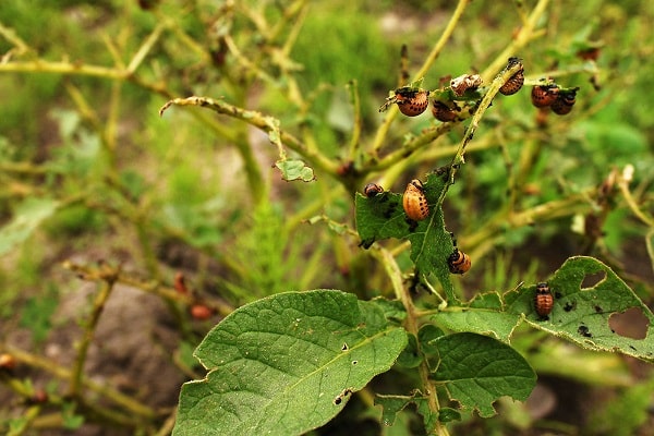
Les pommes de terre sont une plante populaire cultivée par les jardiniers dans leur arrière-cour. Pour qu'une culture pousse avec des tubercules gros et sains, vous devez la protéger des parasites, détruire les insectes, et ils ont produit un Regent à partir du doryphore de la pomme de terre.
Le marché regorge de noms de produits chimiques, mais la plupart d'entre eux n'ont que peu d'effet ou sont simplement faux. Les coléoptères sont détruits ou effrayés, et les larves, en mangeant les feuilles de la pomme de terre, la mangent. De plus, lorsque plusieurs insectes quittent un autre site, leur population ne fait qu'augmenter. Le type d'insecticide Regent 800, son fonctionnement, son utilisation et bien d'autres seront discutés ci-dessous.
Insectifuge Regent - qu'est-ce que c'est?
Il s'agit d'un insecticide populaire dont l'action vise la mort des insectes par une méthode de contact intestinal. Bien qu'il ait été créé pour détruire le doryphore de la pomme de terre, il est également utilisé dans la lutte contre l'ours, les fourmis de jardin et les insectes nuisibles domestiques: fourmis, cafards, punaises, puces.
Le principe d'action est le suivant: le fipronil, principe actif contenu dans l'insecticide, est pulvérisé sur les plants de pommes de terre. Il y a les larves des coléoptères détestés et les coléoptères eux-mêmes, qui mangent des plantes. Avec les feuilles, ils mangent le poison, ou il pénètre dans les jambes, l'abdomen et agit sur le corps. L'insecticide bloque les impulsions nerveuses, la paralysie se développe et l'insecte meurt.

La durée de la solution pulvérisée
L'action du poison du doryphore de la pomme de terre Regent ne se limite pas à un jour. Après la pulvérisation, le poison reste sur les feuilles et continue de tuer les insectes pendant trois semaines. Après cette période, la préparation Regent devient sans danger. Il n'est pas recommandé de déterrer les pommes de terre avant l'expiration de trois semaines. La destruction primaire des insectes sur les pommes de terre dure au maximum 2 jours.

Formulaire de libération et application d'insecticide
Moyens de destruction des insectes: le doryphore de la pomme de terre, les cafards, les punaises de lit, les ours, les puces, les fourmis et autres ravageurs sont disponibles dans un emballage appelé Regent. Produit sous deux formes:
- Poudre dans un sac en polyéthylène.
- Solution en ampoules.

La poudre est utilisée pour tuer les ravageurs et les coléoptères domestiques. Les ampoules sont conçues pour lutter contre les insectes dans les jardins potagers. Nous parlons de la lutte contre le doryphore de la pomme de terre, considérez le médicament en ampoules.
Un emballage en carton ou en plastique contient de une à six ampoules transparentes avec une solution incolore de fipronil.Le volume de l'ampoule est de 5 millilitres. Dans un ensemble de six ampoules - 1,5 millilitres. Les instructions d'utilisation se trouvent au dos de l'emballage. Regent agit à des températures élevées, quand, comme les autres insecticides, il est impuissant.

Préparation
Pour préparer la quantité de solution requise, utilisez le tableau au dos de l'emballage:
- Ouvrez une ampoule de poison et versez l'insecticide dans le récipient préparé. Habituellement, un seau de 10 litres est utilisé.
- Une ampoule suffit pour 10 litres de solution, ils traitent une surface allant jusqu'à deux cents parties.
- Ajouter de l'eau en tenant compte du tableau d'instructions.
- Bien remuer.
- Placez la solution dans un récipient avec un flacon pulvérisateur et traitez les plantes.

Application
Vous devez utiliser tout le mélange en un seul traitement; pendant le stockage, la qualité du médicament est perdue.

- Avant le traitement, vous devez vous préparer soigneusement. Portez des vêtements de travail à manches longues, une casquette, des lunettes, des gants en caoutchouc et un masque.
- La destruction des insectes est effectuée par temps clair et calme - le matin ou le soir. Sous le soleil brûlant, les plantes brûlent et meurent. Après le traitement, il ne doit pas pleuvoir, sinon la substance active sera lavée des plantes et le travail sera gaspillé.
- Toutes les parties aériennes sont soigneusement aspergées de poison, évitant de sauter les buissons. Ne pas pulvériser sur d'autres cultures lors de la transformation des pommes de terre.
- Après le traitement, lavez-vous soigneusement les mains et le visage avec du savon et lavez les vêtements à l'eau savonneuse, après avoir trempé dans l'eau pendant deux heures.

Vous devez détruire les insectes un mois avant la récolte, sinon vous risquez d'empoisonner le corps avec un insecticide qui s'est répandu sur les tubercules pendant le traitement.
Préoccupations concernant la toxicité de Regent
Beaucoup sont tourmentés par la question: s'il est efficace pour lutter contre les ravageurs, alors il est également dangereux pour l'homme? L'insecticide appartient à la troisième classe de toxicité, il est donc utilisé dans les gants, un masque et des lunettes. Mais il a une toxicité minime vis-à-vis de l'homme, compte tenu de l'exposition de trois semaines après l'application sur les plantes. Dans le pire des cas, si le médicament est ingéré avant le moment dangereux, il provoquera des nausées, des étourdissements et de la diarrhée. Pour éviter l'empoisonnement, suivez les instructions d'utilisation du médicament.

Précautions lors de l'utilisation d'insecticide
Pour éviter l'empoisonnement par du poison lors du traitement du Regent du doryphore de la pomme de terre, vous devez respecter des règles de sécurité simples lors de l'utilisation:
- Portez des vêtements de protection lorsque vous travaillez.
- Tenir à l'écart de la nourriture.
- Ne laissez pas dans un endroit bien en vue.
- Ne laissez pas le médicament entrer en contact avec les muqueuses.
- Après utilisation, laver tous les récipients avec de l'eau et de l'eau savonneuse.
- Se laver les mains et le visage avec du savon.
- Pour laver les vêtements.

La récolte est autorisée 3 semaines après le traitement.
Qualités positives du médicament
L'outil est largement utilisé depuis longtemps et a reçu de nombreuses critiques. Parmi les qualités positives, les jardiniers notent les caractéristiques suivantes:

- Pas d'odeur. Le poison n'a pas d'odeur agressive désagréable, il n'irrite donc pas les muqueuses.
- Efficacité. Une solution correctement préparée détruit tous les insectes de la zone traitée en quelques jours. Pour une préparation appropriée, les instructions d'utilisation du remède contre le doryphore de la pomme de terre Regent sont jointes.
- Rentabilité. Le coût d'un paquet ne dépasse pas 120 roubles.
- Action dans les trois semaines suivant l'application. Si les insectes entrent d'autres régions et mangent le feuillage traité, les ravageurs sont garantis de mourir.
- Commodité de la cuisine. Une ampoule est destinée à 10 litres d'eau. Il est impossible de se tromper sur le dosage.

Analogues nationaux
Le fabricant du produit - la société allemande "Basf", produit le médicament Regent 800 dans son emballage d'origine sous sa propre marque, mais il existe également des substituts d'insecticides pour l'action de contact intestinal.

- Imidor;
- Corado;
- Tanrek;
- Image.
Ils agissent également sur le système nerveux des insectes, paralysant et détruisant les ravageurs détestés.


