Description des variétés d'iris, plantation, culture, soins en plein champ
Au printemps, les iris fleurissent dans les jardins. Leur plantation et leur départ ne prennent pas beaucoup de temps aux résidents d'été. Les jardiniers essaient de choisir des variétés résistantes au gel avec des périodes de floraison différentes. Dans la voie du milieu, on cultive des iris sibériens, germaniques, japonais et des marais.
Contenu
Description et caractéristiques de la fleur
Iris en grec est un arc-en-ciel. Le nom reflète la variété des couleurs des fleurs. Le système racinaire se développe dans la couche supérieure du sol. Il est de 2 types:
- bulbeux;
- rhizome.
Les feuilles dressées vert clair des iris ont une forme plate et xiphoïde, situées autour du pédoncule.
Dans la voie du milieu, les iris fleurissent à la fin du printemps. La floraison se termine en juillet. Extérieurement, la fleur ressemble à une orchidée. Distinguer:
- fautes - lobes externes (3 pièces) du périanthe, ils sont situés dans le niveau inférieur et sont tournés vers le bas;
- standards - lobes internes (3 pièces) du périanthe, situés dans l'étage supérieur, ils ressemblent à un dôme, incurvé vers le haut.
La couleur des pétales extérieurs et intérieurs est différente. Les fleurs sont souvent solitaires, chez certaines espèces, elles sont collectées dans des inflorescences. Ils vivent 1 à 5 jours. Le fruit est une longue capsule côtelée. L'un contient 25 à 45 graines. Ils sont grands et bruns.
Variétés populaires d'iris
Selon la structure de la fleur, toutes les variétés de rhizomes d'iris sont divisées en 2 groupes: imberbe, barbu. Les variétés sont classées en fonction de la couleur des pétales, elles se distinguent:
- bicolore;
- une couleur;
- variegata - le fond est rouge-brun, le haut est jaune;
- bordé - le bord des pétales (bordure) est peint dans une couleur contrastante.

Iris barbus
Pour rendre votre jardin irrésistible, vous devez le décorer avec des iris barbus. Leur fleur se compose de 6 pétales et d'une «barbe» - une bande hirsute formée de poils courts. Il y a une «barbe» à la base des fautes.
| Variété | Hauteur (cm) |
| Nain | 21-40 |
| Taille moyenne | 41-70 |
| Grand | Plus de 70 |
Avantages des iris barbus:
- abondante, longue floraison;
- résistance aux maladies;
- de nombreuses variétés hivernent bien sans abri.

Le grand hybride bicolore américain Supreme Sultan (jusqu'à 1 m) est populaire parmi les résidents d'été. Normes de couleur ocre, barbe jaune vif, fautes peintes en couleur cerise foncée. Les pétales sont ondulés le long du bord. Le Sultan suprême fleurit en mai, juin.
Le palais du Sultan, un hybride hollandais haut et résistant à l'hiver, étonne par la beauté de ses grandes fleurs brun rougeâtre (15 cm de diamètre). La structure des pétales est dense, veloutée, le bord est ondulé, la couleur de la barbe est jaune.
Autres variétés non moins spectaculaires d'iris barbu:
- Super Hirow;
- Toronto;
- Immortalité;
- Valse champenoise.

Iris allemand
Une variété d'iris barbus avec un rhizome rampant bien développé. Le buisson d'iris de Germanicus forme des feuilles plates gris-vert, pointues vers le haut. Hauteur de la plante de 0,6 à 1,2 m Sur les pédoncules, il y a des fleurs simples pourpre foncé, jaunes à la base.
Cette variété fleurit en mai, juin. Les racines de l'iris allemand sont séchées, utilisées comme assaisonnement épicé, les décoctions sont préparées pour le traitement de la gorge et de la vésicule biliaire.
Iris non barbus
Ce groupe d'iris n'a pas de poils ("barbe") sur les fautes - les lobes du périanthe externe. Les variétés non barbus comprennent les iris sibériens, japonais, spuria et californiens qui aiment la chaleur.

Iris de Sibérie
La couleur des fleurs est bleu-violet, le diamètre est de 4 à 7 cm. La hauteur de la plante est de 0,7 à 1 m. L'Iris de Sibérie hiverne bien, il peut être cultivé de la 3ème à la 9ème zone de résistance au gel. Les feuilles de 0,5-0,8 m de haut, linéaires, étroites (4 cm), vert clair, conservent leur effet décoratif jusqu'au gel.
Un buisson d'iris de Sibérie peut produire jusqu'à 40 pédoncules (droits, ramifiés). La floraison dure 2 à 4 semaines et commence en juin. Cette variété aime l'humidité, pousse bien près des plans d'eau. Variétés populaires:
- Hohenflug;
- Tourbillon blanc;
- Hohe Warte.

Iris japonais
Cette espèce pousse au Japon et en Extrême-Orient. Les plantes sont thermophiles. Il est difficile de les cultiver dans la voie du milieu. Selon la taille des fleurs, les variétés d'iris japonais sont divisées en groupes:
- grande, jusqu'à 25 cm de section transversale;
- petit, jusqu'à 14 cm;
- moyen, environ 17 cm.
La hauteur des buissons est de 0,6 à 1 m Les variétés sont populaires parmi les producteurs de fleurs:
- Mizutamaboshi;
- Mikawa Itsuhashi;
- Kamionomukashi.

Iris spuria
Cette variété est rare pour les jardins russes. Les fleurs d'Iris spuria diffèrent par la forme des autres espèces. La forme des lobes internes est allongée, linguale, ils sont largement étalés. Il y a une plaque ronde sur les lobes inférieurs.
Iris spuria fleurit 3 semaines plus tard et dure plus longtemps que sous les formes barbus. Les fleurs ne se fanent pas pendant 7 jours. Les feuilles sont vert vif, pointues, décoratives. Variétés pour climats tempérés:
- Archie Owen;
- Zamboanga;
- Lankaran;
- Un innovateur.

Iris marais
C'est ce qu'on appelle l'iris jaune. C'est une plante vivace qui aime l'humidité, avec un rhizome fibreux rampant. La période de floraison tombe les derniers jours de juin, début juillet. Dans la nature, l'iris des marais pousse le long des berges des réservoirs.
Les variétés sont cultivées dans les jardins:
- Flore Pleno;
- Golden Queen;

Reproduction d'iris
L'iris se multiplie par graines, en divisant le rhizome. Les jardiniers expérimentés préfèrent la méthode végétative. Un lien annuel est utilisé comme matériel de plantation. C'est un morceau de rhizome et un éventail de 7 feuilles.
Comment planter des iris en plein champ?
Le sol est préparé un mois avant la plantation. Le site est débarrassé des mauvaises herbes, 1 m² de sol est appliqué:
- 1 seau de sable;
- 2 cuillères à soupe. cendre;
- 1 seau d'humus;
- 0,5 cuillère à soupe superphosphate.
Avant la plantation, le sol doit être arrosé une fois par semaine.

Préparation du matériel végétal
Le matériel de plantation acheté doit être désinfecté dans une solution de manganèse forte et séché au soleil. Avant de planter, vous devez maintenir votre delenki pendant 8 heures à la lumière. Les rayons du soleil tuent les bactéries pathogènes et assèchent les vieilles racines. Toutes les sections doivent être poudrées avec du charbon broyé. Raccourcissez les racines de 10 cm, les feuilles - jusqu'à 10-15 cm.
Quand est-il préférable de planter des iris: en automne ou au printemps?
Les périodes de plantation varient selon les régions. Au sud, les variétés bulbeuses sont plantées en octobre, dans les climats tempérés en septembre.Pour les iris, le moment optimal pour la plantation est fin août, début à mi septembre.
La plantation à la fin de l'automne n'est pas souhaitable. La plante n'a pas le temps de prendre racine, au printemps, en raison du dégel et du gel du sol, ses racines commencent à faire saillie du sol. Pour un meilleur enracinement, le sol est arrosé avec de l'humate de sodium (solution à 0,01%).

Où est le meilleur endroit pour planter?
Le sol doit être préparé à l'avance pour qu'il ait le temps de se déposer. Après un creusement peu profond, au moins 2 semaines devraient s'écouler. Sur un sol fertile, la plante grossit, accumule beaucoup de masse verte au détriment de la floraison.
Lorsqu'on leur demande où il est préférable de planter des iris, à l'ombre ou au soleil, tous les cultivateurs expérimentés donnent une réponse sans ambiguïté - au soleil. Faute de lumière, les plantes vivaces arrêtent d'abord de fleurir et finissent par cesser de pousser. Une légère mi-ombre l'après-midi est autorisée.
Quelle est la profondeur?
Vous n'avez pas besoin de planter profondément, vous ne pouvez pas attendre la floraison. Petit, aussi, ne peut pas. Le rhizome gèlera en hiver. Il est nécessaire de planter la coupe à une profondeur de 3 cm. Pour ce faire, vous devez creuser un trou (10 cm), verser un petit monticule au centre. Plantez un peu dessus, redressez les racines, saupoudrez de terre, compactez et arrosez.

Jusqu'où planter?
A la datcha, les iris peuvent être plantés en rangées, en gardant une distance de 0,5 m entre eux. Il est recommandé de respecter le schéma "tête-queue". La tête s'appelle la partie de la delenka avec un éventail de feuilles, la queue est la zone qui était attachée à l'ancien rhizome.
Un ajustement correct élimine l'entrelacement des rhizomes. Lors de la plantation d'iris en cercle, les «queues» regardent le centre du parterre de fleurs. Pour les variétés hautes, les trous sont placés par incréments de 40 cm, pour les variétés sous-dimensionnées - 20 cm.
Comment prendre soin des iris?
Des soins appropriés vous permettent de cultiver une plante vivace à fleurs. En août, il est important de nourrir la plante, car les boutons floraux se forment à ce moment-là. En septembre, les départs sont minimes. Chez les iris, les feuilles commencent à jaunir et à mourir. Il vaut mieux ne pas déranger la vivace ce mois-ci.

Régime de température
Les iris vivaces gèlent souvent légèrement en raison du fait que les racines sont presque à la surface de la terre. Pour éviter cela, le sol est paillé à la fin de l'automne. Dans les régions avec peu d'hivers enneigés, les buissons d'iris sont couverts. Au printemps, le paillis et le matériau de couverture sont enlevés afin que les racines ne pourrissent pas.
Arrosant les plantes
Arroser rarement. L'engorgement provoque la pourriture bactérienne humide, il conduit à la mort des pousses. Le besoin d'humidité augmente pendant la floraison. Dans la chaleur, les jeunes plantes sont arrosées tous les 3-4 jours.

Top dressing et fertilisation
Pendant la saison, vous devez effectuer au moins 3 pansements, le premier en avril. Au début de la saison de croissance, une plante vivace a besoin d'azote; l'urée doit être dispersée autour du périmètre de la brousse. Certaines variétés fleurissent en mai.
Lorsque les bourgeons apparaissent, les buissons doivent être nourris avec des engrais phosphore-potassium. La floraison de masse se poursuit en juin. Il vaut la peine de se nourrir à nouveau d'engrais contenant du potassium et du phosphore. La troisième alimentation similaire devrait être effectuée en août, lorsqu'il y a une croissance active de la masse verte et la pose de boutons floraux.

Taille
Les iris fleurissent activement en juin. Les fleurs fanées doivent être coupées, découpées des pédoncules déjà fanés. Ne laissez pas les buissons annuels fleurir. Découpez toutes les tiges de fleurs. Cela accélérera le développement de la brousse. La dernière taille devrait être faite en octobre en prévision de l'hiver.
Transfert
Le rhizome vivace rampe, les buissons poussent au fil des ans. Faute de place, ils dépassent du sol. Les iris, s'ils ne sont pas transplantés, dégénèrent et cessent de fleurir. Dans un climat tempéré, le repiquage se fait à l'automne: en septembre-octobre. C'est à ce moment que l'enracinement des iris se produit plus rapidement.
Au sud, la brousse est divisée et plantée au printemps. Les travaux sont effectués du 10 au 15 avril au mois de mai. La météo joue un rôle déterminant. Le sol doit se réchauffer.
Règles de greffe d'iris:

- arrosez bien le buisson, déterrez-le avec une pelle, retirez-le du sol;
- rincer, diviser en parties, chacune devrait avoir 1-2 liens annuels;
- coupez toutes les vieilles racines;
- retirer les feuilles séchées;
- raccourcir les feuilles vertes à une longueur de 10 cm;
- plantez les boutures dans le sol préparé, arrosez.
Abri d'iris pour l'hiver
Les variétés d'iris barbus doivent être mises à l'abri pour l'hiver. Leur résistance au gel peut ne pas être suffisante, les buissons peuvent geler pendant l'hiver. Début novembre, les feuilles sont coupées en éventail à une hauteur de 10 cm du sol.
Après le début du gel, le sol est paillé d'humus ou de tourbe. Une couche de 10 cm est coulée autour des buissons d'iris, le paillis doit recouvrir le rhizome. Lorsque la menace de dégel est passée, le parterre de fleurs avec des iris doit être jeté avec des branches de sapin ou recouvert d'un matériau de couverture, épinglé au sol.

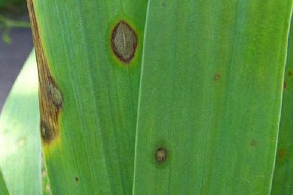
Lutte contre les maladies et les ravageurs
Une plante vivace est sensible aux infections fongiques. Les plantes malades sont identifiées par des signes extérieurs.
| Maladie de l'iris | Panneaux | Traitement de l'iris |
| Rouille | Les feuilles deviennent brunes, sèches, s'enroulent | Traitez une fois tous les 14 jours avec une solution de soufre |
| Pourriture grise | Une floraison grise apparaît sur les feuilles, les tiges | Arrêtez d'arroser, détruisez les parties affectées de la plante |
| Fusarium | La racine souffre, la plante se fane par manque de nutrition | Détruisez la plante malade, traitez le sol et les fleurs voisines avec une solution fongicide |
| Mosaïque | Des rayures et des taches brunes apparaissent à la surface des feuilles | Il n'y a pas de médicaments contre la maladie, la plante est enlevée |
| Hétérosporie | Au stade initial, des taches blanches et grises, avec le développement de la maladie, les feuilles meurent, la plante vivace meurt | Enlèvement des feuilles affectées, traitement de la brousse avec des préparations contenant du cuivre |
| Alternaria | Floraison noire le long du périmètre des plaques de feuilles, mort des feuilles | La maladie est virale, elle n'est pas traitée, les buissons infectés sont détruits, le sol est arrosé avec de la bouillie bordelaise |
| Ascochitose | Taches brunes, feuilles séchées | Traitement avec des préparations contenant du cuivre |
Les nuances de la culture dans différentes régions de la Russie
Dans la voie du milieu, il est recommandé de pailler le sol une fois que la température est descendue à 0 ° C. Dans la région de Moscou, ne couvrez les arbustes transplantés et les variétés à faible résistance à l'hiver qu'après le début du gel.
Dans l'Oural, en Sibérie, toutes les variétés d'iris doivent être paillées et couvertes pour l'hiver. Portez une attention particulière aux jeunes plantes vivaces et vivaces transplantées à l'automne. Les buissons sont recouverts de branches d'épinette et de caisses en bois et en hiver, ils sont recouverts de neige.

Qualités décoratives
Sur une parcelle du jardin, des iris barbus sont cultivés pour être coupés. Ils ont fière allure en groupes et en plantations simples. Ils sont plantés le long des allées de jardin, mixborders. Les pentes rocheuses sont ornées d'iris.
Des variétés d'iris des marais sont plantées le long des rives de réservoirs artificiels et naturels. Les variétés naines sont plantées en rabatki, mixborders, au premier plan des toboggans alpins. Les plantes miniatures sont cultivées dans des conteneurs. Des variétés résistantes au gel sont choisies pour le jardin.


