Est-il possible de garder une fleur cannu à la maison, comment la cultiver et en prendre soin
Est-il possible de garder une fleur de canna à la maison et comment faire pousser correctement une plante. Malgré son exotisme, la plante s'enracine bien chez soi. Avec des soins appropriés, le canna ravira par sa floraison brillante pendant très longtemps. Bien que la plante soit sans prétention dans les soins, lors de sa propagation, vous devrez travailler un peu pour faire pousser une fleur saine.
Contenu
- 1 Est-il possible de faire pousser une fleur de canna à la maison
- 2 Quelles variétés conviennent à la culture à domicile
- 3 Méthodes de germination à Cannes
- 4 Règles d'atterrissage de base
- 5 Comment prendre soin de votre salle de bain à la maison
- 6 Quelles maladies les ravageurs parasitent une plante: méthodes de contrôle
- 7 Comment propager des buissons
Est-il possible de faire pousser une fleur de canna à la maison
Cannes pousse souvent dans des chalets d'été. En raison de la taille du buisson, il peut être problématique de le garder dans la maison. La plante a besoin de beaucoup d'espace pour pousser normalement. Si l'appartement le permet, à l'automne, une fleur du site peut être transplantée dans un pot et la mettre à la maison. Étant constamment au chaud, le canna fleurira toute l'année avec une pause de deux mois.
Pour la culture à la maison, seuls de grands pots d'un diamètre de plus de 50 cm sont utilisés.Il est bon qu'il y ait une loggia isolée à la maison, alors la fleur aura suffisamment d'espace et de lumière. Mais sinon, vous pouvez le mettre par terre. L'essentiel est d'obtenir la lumière du soleil sur la plante.
Quelles variétés conviennent à la culture à domicile
Pour la culture en appartement, il existe des variétés spéciales qui ne poussent pas aussi grandes que celles de la rue.
Variétés cannoises maison:
- Livadia est un buisson atteignant 1 m de haut Inflorescences de teinte écarlate, grandes. Jusqu'à 25 cm de diamètre Le feuillage est grand. La floraison commence en juillet.
- Amérique - la hauteur de la tige est de 1,2 à 1,4 m. Les pétales sont rouges, de 10 à 14 cm de diamètre. La période de floraison a lieu dans la deuxième décade de juillet.
- Le président est un buisson atteignant 1 m de haut, inflorescences écarlates, de 14 à 17 cm de diamètre, dont le feuillage est de couleur verte saturée. La période de floraison commence en juillet.
- Richard Wallace est un buisson atteignant 1,2 m de haut aux pétales jaunes avec des traits rouge-brun. La floraison commence début juillet.
- Suevia est une plante atteignant 1 m de haut aux inflorescences d'une riche teinte jaune. La période de floraison se situe dans la seconde quinzaine de juillet.
- Andenken an Pfitzer - la hauteur de la tige est de 1 à 1,4 m Les inflorescences sont de couleur jaune orangé avec des lignes rouges. La longueur de l'inflorescence est de 30 cm et le feuillage est d'un vert riche.
- Cleopatra est une variété à croissance basse atteignant 1 m de haut.Les pétales de l'inflorescence sont jaunes avec des rayures écarlates.
- Orange Magic - la hauteur de la tige est d'environ 80 cm et l'ombre des pétales est pêche. Les inflorescences sont petites, 7 cm de diamètre.
Même les variétés de canna faites maison ne mesurent pas moins de 1 m.En moyenne, la hauteur des variétés à cultiver à la maison varie de 1 à 1,4 m.

Méthodes de germination à Cannes
Il existe deux façons de cultiver du canna: la graine et le rhizome. Les deux méthodes sont assez efficaces. Ce n'est que lorsque vous cultivez avec des graines que vous devez être patient, cette méthode n'est pas rapide.
Comment faire pousser un canna à partir de graines
Le principal inconvénient de cette méthode d'élevage de cannes est que les jeunes plants ne conservent pas les caractéristiques variétales des fleurs mères. De plus, les graines peuvent ne pas apparaître sur toutes les variétés, mais sur certaines en petites quantités et très tard après la floraison.
Pour la plantation, vous devez utiliser uniquement les graines bien mûres. Si les plantes sont cultivées à l'extérieur, elles fleurissent jusqu'à l'automne. Vous devez saisir le moment et collecter le matériel de plantation quand il est déjà mûr, mais en même temps, faites-le avant le début du gel.

Avant de semer des graines, elles doivent être préparées. La coquille de la graine est épaisse, à cause de cela, l'émergence des semis peut être retardée ou pas du tout. Vous pouvez le frotter avec du papier de verre avant de le planter.
Vous pouvez planter des graines fin février - début mars.
- Le drainage est versé au fond du récipient, puis le sol est posé.
- Faites de petites dépressions dans le sol et plantez des graines.
- Saupoudrer légèrement de terre.
À la fin de la plantation, versez beaucoup d'eau tiède. Le matériel de plantation peut être planté à la fois dans des pots de tourbe séparés et dans un récipient commun. Une fois que les graines éclosent et poussent un peu, elles doivent être plongées. Si les graines ont été plantées en même temps dans des contenants différents, cette étape peut être ignorée.

Pour un choix, il est préférable d'utiliser des coupelles de tourbe et de planter le buisson dans un pot avec eux dans un endroit permanent. Les plants sont soigneusement enlevés. L'essentiel est de ne pas endommager le système racinaire, qui vient de commencer à se former. Vous devez plonger les semis avec un morceau de sol dans lequel ils ont poussé auparavant.
Comment faire germer du rhizome
Le moyen le plus simple est de faire pousser des cannes à partir de rhizomes. Lorsqu'elles sont propagées par cette méthode, contrairement aux semences, les caractéristiques variétales sont préservées. Le printemps est le mieux adapté pour cultiver de cette manière.
Le processus de germination d'une fleur à partir d'un rhizome:
- Creusez le buisson et divisez soigneusement le rhizome.
- Pour les coupes, un couteau tranchant est utilisé, qui est pré-désinfecté.
- Les endroits des coupes sont traités avec des agents antifongiques: ils sont saupoudrés de cendre de bois ou traités avec une solution de permanganate de potassium.
- Pour la plantation, utilisez de la terre, qui comprend de la tourbe, du gazon et du sable en quantités égales.
- Vous pouvez également utiliser de la sciure humide au lieu de la terre.
- Il faut planter pour que le rhizome ne soit pas très profond.
- À la fin de la plantation, saupoudrez légèrement le rhizome de terre ou de sciure de bois.
Versez de l'eau tiède sur le sol. Il est également bon d'ajouter un peu de permanganate de potassium à l'eau.

Règles d'atterrissage de base
Lors de la culture de cannes, vous devez accorder autant d'attention que possible aux plantes lors de la plantation afin qu'elles poussent en bonne santé et fortes.
Sol et drainage requis
Le drainage doit être aménagé au fond du trou d'atterrissage. Un drainage est nécessaire pour que l'excès d'humidité sorte par les trous au fond du pot. Il favorise également la circulation de l'air dans le sol. Ensuite, le sol est versé. N'importe quel terrain pour les plantes à fleurs fera l'affaire. Vous pouvez préparer vous-même le mélange de sol. Pour cela, tourbe, sable et gazon sont mélangés à parts égales.

Volume du pot
Canna appartient aux plantes hautes, par conséquent, un pot de fleur a besoin d'un pot spacieux. En diamètre, il doit être d'au moins 50 cm. C'est bien si la hauteur du pot est d'environ 1 m. Le système racinaire a besoin de beaucoup d'espace pour se développer normalement.
Termes et technologie de semis et de plantation du processus racinaire
Le cannu est transplanté dans des pots séparés après la pousse d'une pousse à partir du rhizome et plusieurs feuilles à part entière apparaissent dessus. Le moment dépend du moment où le greffon racine a été planté. Fondamentalement, les semis sont transplantés dans un endroit permanent plus près d'avril. Pendant cette période, les heures de clarté augmentent et il est plus facile pour les semis de s'habituer à un nouvel endroit.

Processus de plantation:
- Versez le drainage (argile expansée, gravier fin, galets) au fond du pot.
- Versez le mélange de terre.
- Faites un trou dans le sol et plantez un semis.
- Il n'est pas souhaitable de l'approfondir profondément.
- Couvrir de terre et tasser près de la base de la tige.
Arrosez d'eau chaude filtrée et placez la casserole dans un endroit ensoleillé.
Comment prendre soin de votre salle de bain à la maison
Un canna à domicile a besoin de soins de la même manière qu'un canna extérieur. Et peut-être même plus. À la maison, la plante ne reçoit pas autant de soleil et dans le pot, le buisson est souvent à l'étroit. Par conséquent, il est important de ne pas oublier de prendre soin de la brousse.

Entretien et arrosage adéquat
Cannes a besoin d'un arrosage modéré pendant la saison froide. À l'automne, l'irrigation du sol devrait être de moins en moins, et une fois la plante fanée, le sol est arrêté pour arroser pendant un certain temps.
Pendant la période de floraison, les arbustes sont abondamment arrosés. Le sol doit être humide tout le temps. Cannes abrite les tropiques, où le taux d'humidité est élevé, de sorte que la fleur est non seulement hydratée, mais aussi régulièrement pulvérisée. En hiver, lorsque l'air est sec, une serviette humide est placée sur les batteries pour augmenter l'humidité.
Deux fois par mois, la fleur est arrosée avec des engrais. Vous pouvez diluer la cendre de bois dans de l'eau chaude ou arroser avec des engrais prêts à l'emploi pour les fleurs d'intérieur.
Formation de fleurs
Cannes grandit de telle manière qu'ils n'ont pas besoin de former un buisson. Seules les inflorescences fanées doivent être coupées à la racine afin qu'elles n'interfèrent pas avec le buisson. Des ciseaux aiguisés sont utilisés pour les coupes. Ils doivent d'abord être traités avec de l'alcool.

Quelles maladies les ravageurs parasitent une plante: méthodes de contrôle
Lors de la culture de cannes, il y a des problèmes de maladies et de ravageurs. Bien que cela soit assez rare lorsqu'il est cultivé à l'intérieur. L'une des raisons est le stockage inapproprié du matériel de plantation. Les graines sont mieux conservées au réfrigérateur. L'essentiel est qu'ils ne moisissent pas.
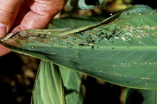
Des taches noires sont souvent visibles sur les feuilles. C'est la bactériose. Les raisons de l'apparition sont l'engorgement du sol. Il est impossible de guérir la bactériose, seulement pour empêcher l'apparition.
Les pucerons ou les chenilles peuvent apparaître des insectes sur les buissons. Vous pouvez vous débarrasser des insectes en pulvérisant des insecticides.

Transfert
Canna pousse très rapidement, vous devez donc transplanter la fleur chaque année dans un pot plus grand. La transplantation est effectuée au printemps, avant le début de la période de floraison. Le processus de transplantation d'un buisson est similaire à la plantation d'un rhizome pendant la propagation de la plante.
Période dormante
À l'automne, une fois les cannes fanées, elles entament une période de dormance. Bien qu'à la maison, cela ne dure que deux mois. À l'arrivée du temps froid, l'arrosage est réduit. En automne et en hiver, 2 irrigations par semaine suffisent. Pendant la période de dormance, ne remplissez pas le sol. À ce stade, la fleur est très vulnérable et si le sol est gorgé d'eau, elle commencera à faire mal et peut mourir complètement.

Comment propager des buissons
Les Cannes se propagent en divisant le rhizome. Cette méthode est la plus préférable, car les plantes s'enracinent mieux et à l'âge adulte ont toutes les caractéristiques variétales de la plante mère. Contrairement à la propagation des graines. Pour la reproduction en divisant le buisson, seuls les buissons envahis par les adultes avec un rhizome bien développé conviennent.

