Description du cépage espagnol Tempranillo, caractéristiques de rendement et résistance au gel
Le nom très espagnol du cépage Tempranillo indique une maturation précoce, tempranillo peut être traduit de l'espagnol par «précoce». Sa distribution la plus large se trouve dans la péninsule ibérique. Au Portugal, un raisin rouge avec des notes fruitées caractéristiques est connu sous le nom de Tinta Roriz, qui sonne comme Tinto Roros.
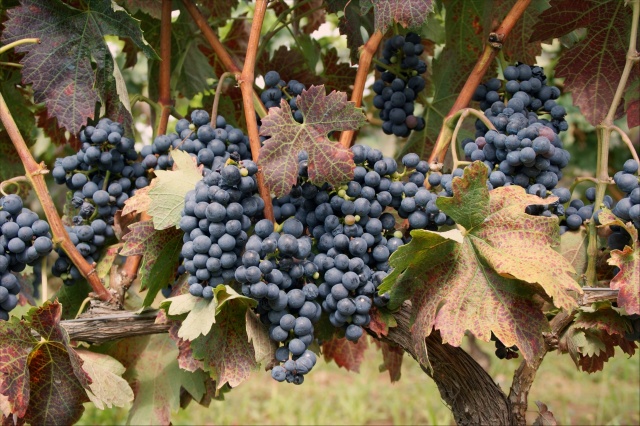
Description de la variété
Les baies bleues de Tempranillo sont la matière première des vins fins et des portos. Au moment de la maturation, les cylindriques, rétrécis dans la partie inférieure des grappes, apparaissent gris en raison de la floraison mate recouvrant les baies arrondies. Leur couleur sous une fleur blanchâtre est violet foncé. Il existe également une variété de ce raisin aux fruits jaunes.
Pour Tempranillo, l'Espagne est la patrie, ici elle est cultivée depuis le 13ème siècle. La bonne adaptabilité du cépage a permis aux viticulteurs des États-Unis, d'Australie et d'Argentine de cultiver le raisin dans leurs conditions climatiques.
Caractéristiques de la variété
La variété est autosuffisante, des fleurs des deux sexes y apparaissent, ce qui est nécessaire à l'auto-pollinisation. La vigne est forte, rustique - jusqu'à 25 yeux sur chacune des vingt pousses de 7 mètres. Les feuilles sont grandes avec une dissection profonde, des contours nets.
Pendant la saison, jusqu'à 5 kg de baies mûrissent sur un buisson. Ils s'ajustent étroitement les uns aux autres, formant un cluster en forme de cône presque symétrique.
Caractéristiques des baies:
- poids - 8 g ± 1 g;
- longueur - 17 mm ± 1 mm;
- la pulpe est juteuse, transparente;
- la peau est fine, dense;
- le poids de la grappe atteint 600 g.

Le goût futur du vin dépend du choix des conditions climatiques dans lesquelles mûrit la récolte de Tempranillo. La peau du raisin est responsable de la saturation de la boisson en couleur - la fine ne donne qu'une nuance, mais la coque épaisse et dense de la baie peut vraiment colorer la boisson.
L'acidité des baies dépend directement de la météo de la zone où la récolte a mûri. Plus la température est élevée et plus le soleil est brillant sur le vignoble, plus l'acidité est faible. En choisissant un bas-fond pour planter la vigne, le vigneron prédit les rendements futurs à faible acidité.
La teneur en acide la plus élevée est observée dans les vignobles situés sur des pentes rocheuses douces.
Avantages et inconvénients de la variété
L'inconvénient de la variété pour les viticulteurs russes est que les conditions climatiques affectent l'appétence. À partir de matières premières cultivées en Russie, le vin est obtenu avec un bouquet faiblement exprimé.

Une grande capacité d'adaptation au sol et au climat laisse espérer qu'en Russie centrale, ce cépage sera capable de produire des rendements avec des caractéristiques gustatives élevées.
Les baies de ce cépage contiennent de nombreuses substances bénéfiques pour la santé humaine, mais tout le monde ne peut pas les manger - des fruits trop acides, l'effet astringent que donne le tanin.
En saison des pluies, contrairement aux autres variétés, les fleurs et les baies des buissons de Tempranillo tiennent fermement et ne tombent pas. Mais même dans des conditions favorables, la maturation de la récolte n'est pas observée à plus de 85%, ce qui dépend en grande partie de la densité des baies dans les grappes.
Caractéristiques croissantes
Le meilleur goût est noté dans les raisins de cette variété, cultivés sur une pente, s'élevant à 700 mètres au-dessus du niveau de la mer. Ici, les raisins reçoivent le maximum de soleil possible. En raison des changements quotidiens de la température de l'air, un équilibre des sucres et des acides est assuré.

Le meilleur endroit pour Tempranillo est Ribera del Duero, où les fluctuations de température: 40 ° C pendant la journée, et la nuit, le thermomètre à mercure s'arrête à 16 ° C. Le tempranillo est actuellement la seule culture de raisin capable de croître et de produire d'excellents rendements dans des conditions aussi difficiles.
Les meilleures conditions pour cultiver un cépage sont un sol fertile riche en chaux, ce qui n'est pas non plus typique de nombreux cépages. Lors de l'entretien d'un buisson, vous devez être extrêmement prudent en utilisant des engrais organiques et des engrais, les raisins de cette variété y sont extrêmement sensibles. La plantation de semis dans le territoire de Krasnodar, en Mordovie, au Daghestan est effectuée dans la deuxième quinzaine de mai, lorsqu'il ne peut y avoir de fortes vagues de froid, même la nuit. Le buisson atteint le rendement maximal dans la 3-4e année après la plantation.

Se soucier
Le buisson de raisin Tempranillo, capricieux aux conditions, nécessite un entretien minutieux, qui se traduit par:
- installation de supports;
- la nécessité d'abriter la culture pour la période hivernale;
- prophylaxie triple contre les ravageurs par saison;
- taille;
- formation de la couronne;
- drainage du sol;
- assurer une hydratation régulière;
- paillage des rangées.
Lors du choix d'un lieu de plantation, les caractéristiques suivantes de la variété doivent être prises en compte - Tempranillo a peur de la sécheresse, des vents et du gel.

Formation de la vigne
La couronne est formée une fois par année civile. La taille au printemps consiste à supprimer 80% de la croissance de l'année dernière, jusqu'au 6-8e œil. Seuls les buissons sains et forts doivent être élagués.
Top dressing
Les préparations monocomposantes et combinées conviennent pour nourrir la vigne:
- "Aquarin";
- nitrate d'ammonium;
- sel de potassium;
- "Kemira";
- Novofert;
- "Solution";
- superphosphate;
- Florovit.

En raison des particularités de la variété, les engrais combinés, où la matière organique est présente dans la composition, il vaut mieux éviter. Vous pouvez déterminer le besoin d'une plante pour un minéral particulier en analysant le sol sur lequel il pousse.
Protection contre les maladies et les ravageurs
Les fongicides sont le principal outil de prévention qui peut vaincre la menace imminente pesant sur le cépage élite au stade initial de son développement.
Schéma de traitement:
- Pendant la période de gonflement des reins, un remède contre le champignon oidium et le tétranyque rouge est nécessaire.
- Lorsque 4 à 5 feuilles apparaissent, la prévention de la moisissure et de la pourriture grise est effectuée.
- Au stade de l'ouverture des bourgeons, il est nécessaire de retraiter l'oïdium et tous les types d'acariens des arbres et des fruits.
- Lors du versement des baies, un traitement préventif est effectué avec un fongicide systématisant.
- Au stade du compactage des grappes, un traitement avec un remède pour tous les types de pourriture est nécessaire.
En adhérant à ce programme de traitement préventif, les maladies graves causées par les champignons et les ravageurs seront évitées.

