Comment traiter les cerises contre les ravageurs au printemps et en automne, méthodes de contrôle et de protection
La vie des résidents d'été est éclipsée par l'apparition constante d'insectes nuisibles sur les arbres fruitiers. Chaque année, les résidents d'été luttent contre tel ou tel ravageur. Même les mesures préventives ne permettent pas toujours de prévenir les insectes. Les ravageurs des cerisiers apparaissent également sur les arbres en raison de la proximité d'autres cultures fruitières. Si cela se produit, tous les arbres qui poussent dans le jardin peuvent être affectés.
Causes et symptômes de l'infection des arbres
Il existe de nombreuses raisons pour lesquelles des insectes nuisibles apparaissent sur les cerisiers. La seule façon de prévenir l'apparition de ravageurs est d'inspecter constamment les arbres et d'agir dès que nécessaire.

Symptômes d'infestation de cerises:
- Diminution du rendement.
- Chute massive du feuillage en été et début de l'automne.
- La chute des fruits.
- L'apparition de taches jaunes et de "passages" sur les feuilles.
Raisons de l'apparition d'insectes sur les cerisiers:
- Les insectes se reproduisent beaucoup plus rapidement si les cerisiers poussent à côté du cerisier ou en raison de la proximité du prunier.
- Absence de taille préventive saisonnière de la couronne.
- Beaucoup de mauvaises herbes sur le site.
- La présence dans le jardin d'un grand nombre de coccinelles, fourmis, guêpes et mouches (ces insectes contribuent à l'apparition des pucerons, car ils se nourrissent du jus sucré que les pucerons sécrètent).
- Manque de préparation automnale pour l'hiver.

La plupart des raisons de l'apparition de parasites sur les cerisiers sont associées à un manque d'entretien du jardin. Par conséquent, la principale méthode pour prévenir l'apparition d'insectes sur les cerises est la taille sanitaire et la préparation du jardin à l'apparition du froid.
Variétés d'insectes nuisibles et lutte contre eux
Les ravageurs des arbres fruitiers comprennent les pucerons, les papillons de nuit, les papillons de nuit, les mouches des cerisiers et un certain nombre d'autres insectes. Il existe de nombreuses raisons à l'apparition de parasites sur les cerises. Plus tôt l'apparition de ravageurs sur les arbres est détectée, plus il est facile de les combattre. Si les insectes ont rempli tout le jardin, il est presque impossible de les gérer.

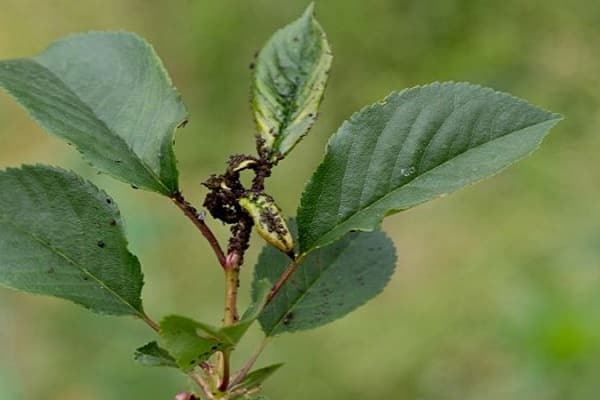
Puceron
Parmi les insectes nuisibles qui apparaissent le plus souvent sur les arbres fruitiers, on distingue les pucerons. Les pucerons apparaissent sur les feuilles et les tiges. Les pucerons apparaissent au cours de la première décennie de l'été, lorsque les jeunes pousses au sommet des branches commencent à pousser. Il se multiplie rapidement et peut remplir tout l'arbre en quelques jours. Les pucerons se nourrissent de la sève des tiges et des feuilles de cerisier. Peu à peu, les feuilles sèchent et tombent.
À cause des pucerons, les arbres cessent de pousser, les champignons se développent sur les cerises et le rendement diminue. La lutte antiparasitaire comprend les actions suivantes:
- Diminution de la population de fourmis.
- Taillez les branches sèches au printemps et en automne.
- Traitez les troncs d'arbres avec de la chaux.
Si le puceron est déjà apparu, la cerise est traitée avec une solution savonneuse additionnée de cendres. Et aussi de la poudre de moutarde diluée dans de l'eau tiède.

Mouche visqueuse
L'apparence d'une tenthrède visqueuse ressemble à des limaces. La longueur de la tenthrède est de 4 à 5 mm. Les mouches à scie se déplacent le long du tronc jusqu'aux feuilles et rongent leur partie juteuse, sans toucher les veines.
Quels sont les moyens de se débarrasser de la tenthrède:
- Vous pouvez peler les cerises avec des produits chimiques.
- S'il y a peu de mouches à scie, elles sont ramassées à la main ou nettoyées avec un fort jet d'eau.
En grand nombre, les mouches à scie causent des dommages importants aux cerises.

Éléphant charançon
Éléphant charançon d'une longueur de 5 à 10 mm. Le corps est vert doré, avec un éclat métallique. Vous pouvez vous débarrasser de l'éléphant charançon en utilisant des produits chimiques. L'arbre doit être pulvérisé plusieurs fois par saison. Le chlorophos convient à la pulvérisation. Le traitement est répété après 10 jours.
Au lieu d'herbicides, des décoctions à base de tabac ou d'achillée millefeuille sont utilisées. Pour préparer le bouillon, vous devez prendre 500 g d'herbe et verser 2 litres d'eau. Faites bouillir le bouillon. Avant de pulvériser, diluez le bouillon avec de l'eau tiède.

Mouche cerise
La mouche du cerisier est un petit insecte avec des rayures jaunes sur ses ailes. La mouche a de grands yeux vert-jaune. Le corps principal est noir. En hiver, la mouche des cerisiers est enveloppée dans un cocon jaune moutarde ne dépassant pas 13 cm de long.
Les premiers signes de l'apparition du parasite:
- Chute massive de fruits.
- Sur le feuillage, des "passages" larvaires subsistent.
- Au début de l'automne, l'arbre reste sans feuilles.

Au printemps, la mouche se nourrit de sécrétions de cerise et en été de jus de fruits. La mouche de la cerise pond les larves dans le fruit. Les larves grandissent pendant 20 jours, se nourrissant tout ce temps du jus de la baie. Lorsque les larves atteignent l'âge adulte, elles rampent et s'enroulent dans des cocons.
Pour éviter l'apparition de mouches, les arbres sont traités avec des produits chimiques plusieurs fois par saison. Vous devez également pulvériser le sol autour du tronc. Vous devez également ameublir régulièrement le sol autour de l'arbre. En hiver, le sol est creusé à une profondeur de 25 cm.

Môle
Vous pouvez vous débarrasser des mites en utilisant les remèdes suivants:
- Saupoudrez les cerises de Confidor Maxi. Le deuxième traitement est effectué après 2 semaines.
- Versez de l'eau sur le dever avec un tuyau sous forte pression.
De plus, après la chute du feuillage, creusez le sol sous les arbres à une profondeur d'au moins 20-25 cm.

Marais de fruits
Pour déterminer l'apparence du marais fruitier, étudiez d'abord sa description. La longueur du corps est de 3-4 mm. Les ailes de la tourbière sont brun-brun, brillantes. Les larves mesurent 4 à 5 mm de long et sont de couleur beige. Les femelles pondent leurs œufs dans les boutons de cerisier.
Pour le traitement des cerises, utilisez:
- Aktaru;
- Mospilan;
- "Vecteur".
Deux semaines après la première pulvérisation, le traitement des arbres avec des produits chimiques est répété. Lors de la pulvérisation, il est important de s'assurer que les branches sont bien mouillées dans la solution. L'introduction de produits chimiques sous l'écorce de l'arbre est également efficace. Pour l'injection, utilisez "Arrivo", "Decis" ou "Sherpa".

Papillon aubépine
Les chenilles du papillon d'aubépine mangent des inflorescences et des feuilles qui n'ont pas encore fleuri. Avant la pupaison, les chenilles peuvent causer des dommages importants aux cerises. Après la floraison, les chenilles commencent à se pupifier.
Une façon naturelle de traiter les chenilles est d'attirer les oiseaux dans le jardin. Vous pouvez installer des nichoirs ou des mangeoires à cerises. Au début du printemps, les nids de papillons sont clairement visibles et faciles à enlever. Après le retrait, les nids sont brûlés. Près de l'arbre, vous devez étendre le tissu et secouer fortement l'arbre, les chenilles tombées sont ramassées et brûlées avec le tissu.Parmi les produits chimiques, les médicaments "Gerold", "Aliot" ou "Fury" sont efficaces.

Teigne du prunier
Pour lutter contre la teigne du prunier, des méthodes de lutte chimiques et biologiques sont utilisées. Si des baies sont apparues sur la cerise, il est conseillé de privilégier les baies biologiques. Pour cela, des décoctions d'achillée millefeuille ou de tabac sont utilisées.
Vous pouvez vaporiser des médicaments:
- "Decis";
- "Alatar";
- Knimix;
- Fufan.
Vaporisez deux fois les cerises avec des produits chimiques. La cerise est traitée pour la deuxième fois 7 à 10 jours après la première pulvérisation. Le début du mois de juin est considéré comme une période favorable pour le traitement. Le deuxième traitement est effectué à la mi-juillet.

Ver à soie à queue d'or
Le papillon à queue d'or pond des œufs dans le feuillage. Lorsque les larves éclosent, elles essaient de saper les feuilles. Après qu'il ne reste que des veines de la feuille, elle est enveloppée dans des toiles d'araignée. En hiver, les queues dorées sont enveloppées de toiles d'araignées et de feuilles, et avec l'apparition de la chaleur, elles se réveillent et se nourrissent des reins.
Une solution aqueuse de "Karbofos" est utilisée pour lutter contre la queue d'or. Vous pouvez également secouer les larves et les collecter à la main. Les arbres sont pulvérisés avec des produits biologiques, par exemple, "Lepidocide" ou "Bitoxibacillin". Des nichoirs sont également installés sur les cerises pour attirer les hirondelles, les martinets et les étourneaux.

Prévention et traitement saisonnier
Comme protection contre les insectes nuisibles, des mesures préventives sont prises. Moins on consacre de temps à prendre soin des cerises, plus il y a de parasites.
Printemps
Au début du printemps, après l'apparition de la chaleur, une taille sanitaire est effectuée. Les branches qui n'ont pas de bourgeons sont coupées avec un sécateur tranchant et les sites coupés sont traités avec un désinfectant. Par exemple, permanganate de potassium ou solution de chaux. Ils creusent également le sol au printemps.

Été
En été, les cerises sont régulièrement examinées à la recherche d'insectes. Vous devez également assouplir périodiquement le sol et éliminer toutes les mauvaises herbes du site. De plus, si des feuilles et des branches endommagées apparaissent sur les arbres, elles sont coupées et brûlées loin du site.
L'automne
En automne, après la récolte, le sol doit être creusé à une profondeur de 20 cm.Les insectes préfèrent hiverner et pondent les larves dans le sol. Par conséquent, après avoir creusé le sol, les parasites se retrouveront à la surface de la terre, gèleront et mourront en hiver.


