Comment se débarrasser des pucerons sur les cerises et comment les traiter, un examen des médicaments et des remèdes populaires
Le puceron du cerisier est un ravageur commun des jardins qui se nourrit de la sève des jeunes feuilles et des pousses, ce qui entraîne une perte de feuillage sur les arbres, avec la mort ultérieure de la culture. Quels sont les moyens de se débarrasser des pucerons sur les cerisiers? Il existe des médicaments chimiques et biologiques, des remèdes populaires. Leur application compétente sauvera la récolte, sauvera et protégera les arbres contre les insectes nuisibles.
Causes des pucerons
Les pucerons du cerisier existent sous la forme de: larves, individus sans ailes, ailés, hétérosexuels. Au cours de l'été, les pucerons donnent plusieurs générations. Il y a une surpopulation d'espaces de vie de pucerons, et à l'automne de nombreuses femelles ailées naissent, qui volent sur de longues distances afin de capturer de nouveaux endroits pour créer des colonies.
Si pendant l'été vous ne supprimez pas une colonie de pucerons qui ont capturé des arbres dans le jardin, ils pondront sur de jeunes pousses près des bourgeons des larves d'hivernage, et au printemps, ils commenceront à se multiplier avec une vigueur renouvelée, capturant de nouveaux arbres, buissons et plantes herbacées (concombres, tomates, poivrons).

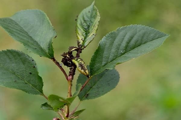
Signes de dommages causés aux arbres par les pucerons
Des milliers d'espèces de pucerons sont connues. Le puceron noir du cerisier, en plus du cerisier, affecte les arbres à noyau: prunier, abricot, pêche. Le premier signe de capture de cerises par les pucerons est l'apparition de jeunes pousses, de bourgeons, de feuilles en fleurs de brillance - il s'agit d'un miellat sucré que les pucerons sécrètent en raison de leur activité vitale. Les pucerons ne mangent pas de feuilles, ils aspirent seulement le jus. Les feuilles perdent de l'humidité, se recroquevillent, s'assèchent, les pucerons se déplacent vers d'autres feuilles.
L'apparition de fourmis sur les arbres est un autre signe de pucerons; les fourmis mangent du miellat sucré, elles gardent les pucerons et les transportent vers d'autres arbres. Vous pouvez trouver des fourmilières le long des chemins des fourmis. La lutte contre les fourmis est un must dans la lutte contre les pucerons.
Pour préserver les arbres et empêcher la propagation des pucerons dans tout le jardin, les pucerons sont combattus avec toutes les méthodes et moyens disponibles, sans perdre de temps.

Méthodes de lutte contre les insectes nuisibles
Il existe de nombreuses façons de lutter contre les pucerons:
- aux stades initiaux de l'apparition des pucerons, une méthode mécanique de traitement de l'utilisation de techniques et de dispositifs qui interfèrent avec la propagation des individus dans le jardin est appropriée: collecte et élimination manuelle des branches et des feuilles, de la colle et des pièges à herbe;
- la méthode technologique de lutte comprend l'utilisation de technologies, d'outils et de techniques modernes: défaillance des pucerons avec un fort courant d'eau, l'utilisation de pulvérisateurs, de pompes, de fumigation avec divers composés;
- un procédé chimique de lutte antiparasitaire comprend le traitement des arbres avec divers fongicides;
- la méthode biologique consiste à utiliser des produits biologiques et des ennemis naturels des ravageurs;
- méthodes folkloriques - l'utilisation de compétences et de moyens improvisés, les propriétés bactéricides et phytoncidales des plantes environnantes, les connaissances accumulées depuis longtemps par les jardiniers dans la lutte contre les insectes.
L'application compétente et opportune de toute méthode ou ensemble de mesures aide à se débarrasser de l'infestation de pucerons. Comment sauver le jardin des parasites, quelle manière de choisir pour garantir un contenu végétal sain et obtenir un rendement élevé appartient aux jardiniers.

Mécanique
Aux stades initiaux de l'insémination par les larves et les pucerons femelles, les jeunes pousses et les feuilles peuvent être arrachées et éliminées.
Dans la lutte contre les fourmis (défenseurs et porteurs de pucerons), des pièges à colle de jardin sont utilisés pour empêcher les fourmis de se déplacer le long du tronc des cerisiers. Les pièges sont vendus dans des magasins spécialisés. La culture du sol des parcelles de jardin, l'élimination rapide des mauvaises herbes aident à lutter contre les ravageurs et les maladies des plantes.
Les pièges à herbes sont préparés indépendamment de l'herbe fraîche, qui est disposée dans un bassin avec un côté haut et saupoudrée d'eau douce.

Voie biologique
Les coccinelles, qui se nourrissent d'adultes et de larves de pucerons, aideront à détruire les pucerons sans utiliser de médicaments toxiques. Les plantes aideront à attirer les coccinelles vers les parcelles de jardin: coriandre, livèche, aneth, persil, fenouil, calendula.
Les biomatériaux vivants sous forme de coccinelles ou de leurs larves peuvent être achetés dans les animaleries et plantés sur des arbres infectés par des pucerons.
L'agent biologique Fitoverm a un effet paralytique nerveux sur les adultes à travers le tube digestif; le médicament ne fonctionne pas sur les larves. Le traitement est effectué selon les instructions, à plusieurs reprises, au crépuscule, de préférence par temps humide (après les pluies). Le médicament se décompose complètement à la lumière dans les 2-3 jours, il n'est pas toxique pour l'environnement.

Le médicament Akarin est identique dans ses propriétés et son mode d'administration au médicament précédent.
Iskra Bio médicament: flacon de 10 ml, la solution est préparée selon les instructions. Le médicament est très efficace, en cas de chaleur + 25 De et au-dessus, l'efficacité augmente. Pas de dépendance aux parasites. Les plantes sont traitées pendant la floraison, la nouaison et la maturation des cerises.

Technologique
Les méthodes de traitement technologique comprennent l'utilisation de technologies folkloriques simples et les progrès modernes des processus et des équipements technologiques.
Les technologies simples incluent un moyen élémentaire d'éliminer les pucerons et leurs larves à l'aide d'un puissant jet d'eau. Le sol dans la zone de lavage de la couronne est traité avec des produits chimiques ou des remèdes populaires, après quoi il est nécessaire d'enlever et d'éliminer toute la végétation sous la couronne de cerises cerises.
Sous les arbres dans un seau, des morceaux de pneus en caoutchouc sont allumés, qui émettent une fumée âcre - les pucerons et les larves en meurent.
Il existe des équipements modernes qui forment de fins mélanges de vapeur froide ou chaude avec des agents chimiques ou biologiques.

Il existe des organisations spécialisées qui mènent des activités de désinfection, tant pour les particuliers que dans les grandes pépinières, en utilisant de nouvelles technologies et des équipements. Ils prennent en compte tous les facteurs et conditions de traitement, utilisent habilement des préparations chimiques et biologiques.
Méthode chimique
Les produits chimiques sont utilisés lorsque le temps est perdu et que les pucerons ont ensemencé la plupart des branches de cerisier.Les produits chimiques sont choisis en fonction du moment du traitement, des objectifs, des zones d'infection et des résultats attendus.

- Préparation des étincelles: diluer 1 comprimé dans 10 litres d'eau et saupoudrer le cerisier pendant la période de gonflement des bourgeons ou lors de l'ouverture des feuilles.
- Médicament Kinmix: 2,5 millilitres du médicament sont dilués dans 10 litres, 4 litres sont consommés sur un grand arbre. Avec cette solution, les pucerons peuvent être empoisonnés après la floraison.
- La préparation Iskra Zolotaya: 40 grammes sont dilués dans 10 litres d'eau, la consommation de solution est de 2 à 5 litres par arbre, les insectes meurent en 2 jours. Le médicament a une action prolongée, période - 25 jours, protège les pousses qui apparaissent après le traitement.
- Iskra-M pour les chenilles (également efficace contre les pucerons): 5 millilitres sont dilués avec 5 litres d'eau, la consommation par arbre est de 2 à 5 litres, selon l'âge de l'arbre et le nombre de graines. A une action rapide.

Remèdes populaires dans la lutte contre les insectes
Les préparations chimiques et biologiques modernes pour traiter les plantes contre les maladies et les ravageurs sont apparues au milieu du XXe siècle, avec le développement des industries chimiques et de la biotechnologie. Il existe de nombreux remèdes populaires que les gens ont utilisés pour protéger leurs jardins dans le passé. Tous les fongicides, pesticides, produits biologiques contiennent des substances d'origine naturelle, obtenues ou dérivées par des méthodes artificielles.
Par conséquent, en utilisant des remèdes populaires, il est nécessaire d'observer la concentration et le dosage de la préparation d'infusions, de décoctions, de solutions, car ils peuvent non seulement tuer les insectes nuisibles, mais également détruire les arbres.

Cendre
La cendre de bois contient des sels de métaux alcalino-terreux; l'extrait d'eau de cendre est appelé lessive, en raison de la teneur en sels de métaux alcalins. La lessive savonneuse au toucher a des propriétés antibactériennes. Une solution de lessive dans l'eau est enrichie de substances supplémentaires aux propriétés fongicides.
Préparation d'une solution de cendres avec du permanganate de potassium (permanganate de potassium):
- 2 verres de cendre de bois sont versés dans 10 litres d'eau chaude, bien mélangés pour dissoudre la lessive dans l'eau;
- du permanganate de potassium est ajouté à de l'eau alcaline - ½ cuillère à café, bien mélanger;
- la solution doit prendre une couleur rose foncé; un liquide à haute teneur en permanganate de potassium (betterave noire) brûlera la plante - une telle solution doit être diluée avec de l'eau;
- filtrer la solution et pulvériser les arbres.

Préparer une solution de cendres avec du savon et du vinaigre:
- 300 grammes de cendres sont versés dans un seau, 3 litres d'eau bouillante sont versés, mélangés et insistés pendant une journée;
- ajouter 2 cuillères à soupe de savon de goudron raboté, mélanger, dissoudre le savon;
- ajouter 7 litres d'eau, mélanger, filtrer, ajouter 2 cuillères à soupe de vinaigre de table à 9% (pour neutraliser l'excès d'alcalinité de la solution afin de ne pas brûler les branches des arbres).
Les cerisiers sont pulvérisés avec cette solution avant la floraison et 2 semaines après la floraison.

Ail
L'ail appartient aux phytoncidones - ses flèches émettent des phytoncides dans l'air, qui ont des propriétés bactéricides, qui effraient les parasites. Les jardiniers plantent des zones autour des pommiers, des cerises, des prunes avec de l'ail vivace, qui protège les arbres des insectes, y compris les pucerons. L'ail élimine pratiquement tous les parasites de la zone où il pousse.
L'infusion d'ail est préparée comme suit:
- dans 10 litres d'eau tiède et non chaude, presser, à l'aide d'un presse-ail manuel (presse-ail), 50 grammes d'ail, mélanger;
- insister le jour;
- filtré à travers un chiffon de toile, essoré;
- la solution est pulvérisée sur les cerises.

Pissenlit
Mai et juin sont les mois de floraison abondante du pissenlit, avec son aide, vous pouvez lutter contre les pucerons. Les feuilles ou les racines de pissenlit fraîches sont bonnes pour cela.
Déterrez 300 grammes de racines ou cueillez 400 grammes de feuilles fraîches, hachez les racines, coupez les feuilles et préparez-les au chaud (pas plus de 40 C) arroser, insister pendant 3 heures, filtrer et traiter l'arbre malade.

Chélidoine
La chélidoine est une plante avec laquelle vous pouvez réussir à vous débarrasser des insectes nuisibles. La chélidoine est récoltée en mai, pendant la floraison (entièrement déchirée à la racine) - à ce moment, la chélidoine a plus de propriétés bactéricides. Il faut se rappeler que toute la plante est toxique.
L'herbe est séchée à l'ombre dans un endroit bien ventilé. L'herbe séchée est broyée en poudre et pollinisée par des branches et des pousses de cerisier infectées par des pucerons. La poudre de chélidoine sèche se colle aux feuilles collantes, les toxines de chélidoine pénètrent dans le jus des feuilles, les pucerons sucent le jus empoisonné et meurent.
Une infusion peut être faite à partir de chélidoine: 3 kilogrammes de plantes fraîches sont écrasées et brassées avec de l'eau bouillante (10 litres), insistées pendant 2 jours ou bouillies pendant une demi-heure. Vous pouvez préparer de la chélidoine sèche, tout en prenant 800 grammes de chélidoine préalablement préparée pour le même volume d'eau.

Solution de savon
Une solution de savon à lessive à 72% agit comme un fongicide de contact (la teneur élevée en alcali dans la solution de savon forme un film alcalin protecteur avec un puissant effet bactéricide). Si vous préparez une solution savonneuse dans une décoction d'achillée millefeuille, vous obtenez un médicament à action combinée: contact et systémique, en raison des propriétés bactéricides de l'achillée millefeuille.
Préparation d'une solution savonneuse avec un bouillon de millefeuille:
- 800 grammes d'herbe séchée sont broyés, versés avec 10 litres d'eau bouillante, insistés pendant 2 jours (ou bouillis pendant une demi-heure);
- le bouillon ou l'infusion est filtré sur une étamine;
- frottez sur une râpe ½ morceau de savon à lessive, versez dans un seau avec infusion, remuez jusqu'à ce que le savon soit complètement dissous;
- la solution préparée est pulvérisée avec des branches ensemencées de pucerons.
Préparer une solution savonneuse dans l'eau:
- râper un morceau de linge ou de savon au goudron;
- dissoudre les copeaux de savon dans 10 litres d'eau tiède, bien mélanger, laisser le savon se dissoudre;
- pulvériser les arbres infectés avec la solution résultante.

Comment gérer correctement
Quand transformation des cerisiers il est nécessaire non seulement d'utiliser correctement les préparations pour la désinfection, mais également de se souvenir des règles de traitement des arbres et des précautions contre les effets toxiques sur le corps humain:
- lors de traitements avec des produits chimiques, il est nécessaire d'utiliser une combinaison de protection, des gants en caoutchouc, des respirateurs, des lunettes;
- les arbres sont traités tôt ou en soirée, en tenant compte de l'humidité, conformément aux instructions des instructions, afin de préserver les propriétés insecticides des solutions;
- le traitement est effectué à partir du sommet de la couronne des arbres vers le bas, les troncs de cerisiers, un morceau de terre autour du tronc sont traités;
- l'équipement, la combinaison de protection et les accessoires doivent être lavés avec des détergents;
- les médicaments sont utilisés en fonction de l'état dans lequel se trouve l'arbre (floraison, maturation des baies, après récolte).
Pendant la floraison
Pendant la floraison, les arbres ne doivent pas être traités avec des médicaments toxiques, car cela nuirait aux abeilles et aux autres pollinisateurs. La dernière fois que le traitement avec des produits chimiques est effectué 2 mois avant la maturation de la récolte. Pendant la floraison, il peut être traité avec Iskra Bio.

Pendant la fructification
Si nécessaire, pendant la fructification, les arbres sont traités avec des préparations biologiques, car lors de l'utilisation de produits chimiques, des substances toxiques pénètrent dans la pulpe de la baie et ont un effet toxique sur le corps humain.
Des produits biologiques sont utilisés: Fitoverm, Akarin, Iskra Bio - ils se décomposent à la lumière en 2-3 jours.
Après la récolte
Après la récolte, vous pouvez utiliser divers produits chimiques: avec un effet rapide, une action prolongée, une forte action toxique.

Mesures de prévention saisonnières
Des mesures préventives pour assurer un jardin sain et, en particulier, des cerisiers doivent être mises en œuvre en tenant compte des saisons, de l'état des arbres, de la présence, de l'absence de maladies ou de ravageurs au cours de la saison écoulée.
Le choix d'un emplacement pour planter des cerises dans des zones ensoleillées et ventilées est essentiel pour la croissance d'arbres sains sans parasites. Les cerises sont plantées loin de la viorne, de l'aubépine, car elles attirent les pucerons avec leurs odeurs spécifiques.
L'entretien du jardin, le désherbage, la conduite correcte des travaux agrotechniques et les mesures préventives contre les ravageurs créent toutes les conditions pour faire pousser des arbres sains.

Printemps
Les mesures préventives printanières comprennent: des actions agrotechniques sous forme de creusement de parcelles sous la couronne d'arbres, le blanchiment des troncs avec nettoyage préalable de l'écorce et l'application compétente d'engrais minéraux.
En plantant autour des troncs d'ail, la coriandre repousse les insectes nuisibles; les sommets de la coriandre sont coupés quotidiennement pour augmenter la libération de phytoncides. Le calendula et le safran attirent les coccinelles.
Été
Mesures préventives estivales: désherbage régulier, paillage du terrain avec des aiguilles, car il contient des phytoncides, traitement préventif des arbres avec des produits chimiques à libération prolongée, dans le cas de plantes ensemencées avec des pucerons dans les zones voisines.
Combattre les fourmilières dans le jardin avec l'utilisation de drogues: fourmis, tonnerre et remèdes populaires, car les fourmis sont porteuses de pucerons.

Tomber
Mesures préventives d'automne: nettoyage et blanchiment des troncs, nettoyage autour du tronc des feuilles tombées, herbe sèche, creuser la terre. Formation de la couronne, taille des branches sèches et épaissies.
Une mise en œuvre compétente et régulière de mesures préventives crée les conditions pour la culture de plantes saines dans la zone du jardin sans maladies, parasites et pour obtenir des rendements constamment élevés.


